XB-ART-56435
Elife
2019 Nov 01;8. doi: 10.7554/eLife.50403.
Show Gene links
Show Anatomy links
The mechanosensitive ion channel TRAAK is localized to the mammalian node of Ranvier.
Brohawn SG
,
Wang W
,
Handler A
,
Campbell EB
,
Schwarz JR
,
MacKinnon R
.
???displayArticle.abstract???
TRAAK is a membrane tension-activated K+ channel that has been associated through behavioral studies to mechanical nociception. We used specific monoclonal antibodies in mice to show that TRAAK is localized exclusively to nodes of Ranvier, the action potential propagating elements of myelinated nerve fibers. Approximately 80 percent of myelinated nerve fibers throughout the central and peripheral nervous system contain TRAAK in what is likely an all-nodes or no-nodes per axon fashion. TRAAK is not observed at the axon initial segment where action potentials are first generated. We used polyclonal antibodies, the TRAAK inhibitor RU2 and node clamp amplifiers to demonstrate the presence and functional properties of TRAAK in rat nerve fibers. TRAAK contributes to the 'leak' K+ current in mammalian nerve fiber conduction by hyperpolarizing the resting membrane potential, thereby increasing Na+ channel availability for action potential propagation. We speculate on why nodes of Ranvier contain a mechanosensitive K+ channel.
???displayArticle.pubmedLink??? 31674909
???displayArticle.pmcLink??? PMC6824864
???displayArticle.link??? Elife
???displayArticle.grants??? [+]
DP2 GM123496 NIGMS NIH HHS
Species referenced: Xenopus
Genes referenced: dlg4 drg1 kcnk4 krt8 nav1 nodal s100a1 thy1
???attribute.lit??? ???displayArticles.show???
|
|
Figure 1. A specific anti-mouse TRAAK antibody targets the channel extracellular cap.(A) GFP fluorescence (left, green), anti-TRAAK antibody labeling (center, red), and merged image (right) from a field of live CHO-K1 cells expressing mouse TRAAK-EGFP. The anti-TRAAK antibody labels live cells expressing TRAAK indicative of extracellular epitope recognition. (B) Anti-TRAAK antibody labeling (red) and DAPI (blue) in brain sections from TRAAK-/- and TRAAK+/+ animals. Scale bar = 10 μm. (C) TRAAK-Fab complex structure viewed from the membrane plane with extracellular solution above. Antibody Fab fragments (red) bind the extracellular cap of TRAAK (shown with one chain of the dimeric channel colored blue and the second green). Potassium ions are shown as gray spheres. Approximate boundaries of the membrane bilayer are indicated with gray bars. Cap helices 1 and 2 are indicated (CH1, CH2). (D) Sequence alignment of the helical cap region of mouse K2P channels (amino acid numbers correspond to mouse TRAAK). Residues of mouse TRAAK that form the antibody binding epitope are indicated with red circles above the sequence. (E) Surface view of the helical cap from the membrane plane colored according to conservation among mouse K2Ps as in (D). Antibody binding surface is outlined in red.Figure 1âfigure supplement 1. Anti-TRAAK antibodies form biochemically stable channel complexes without impacting channel function.(A) Current-voltage relationship from mouse TRAAK reconstituted into planar lipid bilayers before (black) and after (red) the addition of 1 uM purified 1B10 antibody (to both cis and trans sides) and after the addition of 15 mM BaCl2. Current was recorded during voltage steps from â100 to 100 mV from a holding potential of â50 mV with internal 150 mM K+, 0 mM Na+ and external 15 mM K+, 135 mM Na+. Data are shown in physiological convention. Antibody 1B10 has no functional effect on mouse TRAAK currents. (B) Coomassie-stained SDS-PAGE gel of purified 1B10 antibody. (C) Elution profile of TRAAK-EGFP alone (black) and after incubation with anti-TRAAK antibody (red) from a Superose six size exclusion column monitored by EGFP fluorescence. Antibody-TRAAK complex formation generates and earlier-eluting peak than TRAAK alone. |
|
|
Figure 1âfigure supplement 2. Anti-TRAAK monoclonal antibody selectively labels TRAAK among all functionally expressed mouse K2P channels.GFP fluorescence (left), anti-mTRAAK antibody fluorescence (center), and merged image (right) of a field of fixed and permeabilized CHO-K1 cells expressing the mouse K2P-EGFP fusion indicated to the left of the images and labeled with hamster anti-TRAAK 1B10 antibody and Alexa-568 conjugated anti-hamster secondary antibody. |
|
|
Figure 2. TRAAK is localized to nodes of Ranvier in the central nervous system.(A) Immunostaining of TRAAK (red), Thy1-EGFP (sparsely labeled neurons, green) and Caspr1 (present in paranodes, white) in a hindbrain section. (BâD) Immunostaining of TRAAK (red), Caspr1 (white) and (B) Nav1.6 (present in nodes of Ranvier), (C) Kv1.2 (present in juxtaparanodes), and (D) AnkG (present in nodes of Ranvier and axon initial segments, one of which is labeled with an arrowhead) in the (AâC) hippocampal-proximal fiber tracts of the fornix or (D) cortex. Scale bars = 10 μm. Insets show a magnified view of (AâD) a single node or (D, lower inset) an axon intial segment. Inset scale bars = 1 μm. (E) Cartoon representation of immunolocalization data. TRAAK, Nav1.6, and AnkG are localized to nodes of Ranvier in myelinated axons which are flanked by Caspr1 in paranodes and Kv1.2 in juxtaparanodes.Figure 2âfigure supplement 1. TRAAK is not found in sensory endings, synapses, astrocytes or microglia.(A) TRAAK, Krt8 and Nefh staining of Merkel cells from a touch dome in hind paw glabrous skin from TRAAK+/+ (upper row) and TRAAK-/- (lower row) mice. TRAAK is not co-localized with Krt8-labeled Merkel cells or nearby regions of Nefh-labeled sensory neurons. (B) TRAAK, S100 and Nefh staining of lanceolate endings in back hairy skin from TRAAK+/+ and TRAAK-/- mice. TRAAK is not co-localized with Nefh-labeled sensory neurons in the region surrounding hair follicles or S100-labeled terminal Schwann cells. (C) TRAAK and PSD95 staining in hippocampus. TRAAK is not co-localized with PSD95-labeled synapses. (D) TRAAK and GFAP staining in hippocampus. TRAAK is not co-localized with GFAP-labeled astrocytes. (E) TRAAK and Iba1 staining in hippocampus. TRAAK is not co-localized with Iba1-labeled microglia. Scale bars = 10 μm except in magnified rightmost image in (DâE) where scale bars = 1 μm. |
|
|
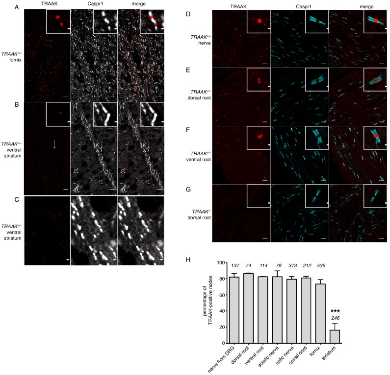
Figure 3. TRAAK is localized to nodes of Ranvier in the peripheral nervous system.(A) Immunostaining of TRAAK (red), AnkG (green) and Caspr1 (white) in optic nerve from TRAAK+/+ (upper row) and TRAAK-/- (lower row) animals. (B) Immunostaining of TRAAK (red), Kv1.2 (green) and Caspr1 (white) in spinal cord from TRAAK+/+ and TRAAK-/- animals. (C) Immunostaining of TRAAK (red) and Caspr1 (cyan) in sciatic nerve from TRAAK+/+ and TRAAK-/- animals. Scale bars = 10 μm. Insets show a magnified view of a single node. Inset scale bars = 1 μm.Figure 3âfigure supplement 1. Quantification of TRAAK nodal localization.(A,B) Immunostaining of TRAAK (red) and Caspr1 (white) in brain sections from (A) a hippocampal-proximal fiber tract in the fornix with a high percentage of TRAAK-positive nodes and (B) a fiber tract from the ventral striatum with few TRAAK-positive nodes (arrow in (B) points to a TRAAK-positive node magnified in the inset). (C) Is a magnified view of a portion of the fiber tract in B showing absence of TRAAK-immunostaining. (DâG) Immunostaining of TRAAK (red) and Caspr1 (cyan) in (D) a nerve projected from a dorsal root ganglion containing a mixed population of motor and sensory neurons, (E) a dorsal root enriched for sensory neurons and (F,G) a ventral root enriched for motor neurons from a (DâF) TRAAK+/+ and (G) a TRAAK-/- animal. Motor and sensory neurons have a similarly high percentage of TRAAK-positive nodes. Scale bars in (A,B,DâG)=10 μm. Insets show a magnified view of a single node. Scale bars in insets and (C) = 1 μm. (G) Percentage of TRAAK-positive nodes in different regions of the nervous system: nerve from DRG 82 ± 4%, dorsal root 86 ± 0.5%, ventral root 82 ± 0.2%, sciatic nerve 82 ± 7%, optic nerve 79 ± 4%, spinal cord 81 ± 2%, fornix 73 ± 5% and internal capsule/striatum 16 ± 8%. Number of nodes counted in each region is indicated above each bar. Data are mean ± standard deviation from n â¥Â 3 separate images. ***p<0.0001, one-way ANOVA. |
|
|
Figure 4. All or none distribution of TRAAK in nodes within single axons.(A) Immunostaining of TRAAK (red), Caspr1 (white) and Kv1.2 (green) in a field of teased axons from sciatic nerve. Scale bar = 10 μm. Individual axons with multiple node-internode segments in the field are numbered (1-5) with corresponding nodes denoted by letters (aâc). (B) Magnified view of each node marked (A). Scale bar = 1 μm. Each axon has either all TRAAK-positive or all TRAAK-negative nodes. |
|
|
Figure 5. Rat nodes of Ranvier express TRAAK and are insensitive to the voltage-gated K+ channel blocker TEA.(AâD) Representative voltage clamp and current clamp recordings from isolated single frog and rat nodes of Ranvier. (A) Voltage steps recorded in a typical frog node without (left) and with (right) 10 mM TEA. (B) Action potentials in a frog node elicited by current injection in the absence (black) and the presence (red) of TEA. Note that the duration of action potential became longer in the presence of TEA (Frog Ringerâs amplitude = 114.5 ± 1.2 mV, duration = 0.45 ± 0.006 ms (at 50% amplitude); Frog Ringers + TEA depolarization = 4.1 ± 1.7 mV, amplitude = 110.3 ± 1.3 mV, duration = 0.75 ± 0.06 ms; amplitude reduction with TEA = 4.2 ± 1.8 mV; n = 4). (C) Voltage steps recorded in a typical rat node without (left) and with (right) 10 mM TEA. (D) Action potentials in a rat node elicited by current injection in the absence (black) and the presence (red) of TEA. The duration of action potential did not change by the application of TEA. (Rat Ringerâs amplitude = 108.4 ± 2.5 mV, duration = 0.55 ± 0.02 ms (at 50% amplitude); Rat Ringers + TEA depolarization = 3.7 ± 1.0 mV, amplitude = 103.7 ± 1.6, duration = 0.61 ± 0.02 ms; amplitude reduction with TEA = 4.7 ± 3.0 mV; n = 7). Recordings were performed at room temperature. (E) Immunofluorescence of the paranodal protein CASPR (green) in dissected rat sciatic nerve fibers. (F) Immunofluorescence of TRAAK (red) in the same nerve fibers. (G) Overlay of (E) and (F). (H) Overlay of the fluorescence image in (G) with bright-field image.Figure 5âfigure supplement 1. Nerve chamber and schematic of voltage clamping the node of Ranvier.(A) Nerve chamber for recording of action potentials and membrane currents of an isolated node of Ranvier. The nerve chamber is made of transparent plastic and consists of four compartments separated by thin walls. (B) Higher magnification of the central part of the nerve chamber. A single nerve fiber is drawn as a line with the node of Ranvier indicated by a gap located in the middle of compartment A. (C) Single nerve fiber placed on top of the compartment ridges with cut internodes. The diagram demonstrates the principle of voltage clamping the node of Ranvier (Nonner, 1969). Points E, A, B and C denote electrodes dipping into the fluid of the compartments. Point D represents the axoplasm at the node. Vaseline seals (v) are placed on top of the ridges to increase the electrical resistance between the chamber compartments and to stabilize the fiber. Chamber F (shown in (B)) denotes an air gap to further increase the external resistance of the nerve fiber. PG, pulse generator. Input of the feedback amplifier is connected to electrode C and its output is connected to electrode E. For recording action potentials (current-clamp mode), the output of the amplifier was connected with electrode A and the pulse generator with electrode E. |
|
|
Figure 5—figure supplement 2. Schematic of the Node clamp based on operational amplifiers.Batteries were used as the power supply to this amplifier. A ‘rail splitter’ circuit was used to stabilize the signal ground potential, denoted as 0 (point B, see Figure 5—figure supplement 1 and Nonner, 1969 for definition of the points A, B, C, D and E), at the half value of the battery voltage. The Nonner clamp utilized a high-speed (80 MHz) field effect transistor (FET) input operational amplifier AD8033 to provide 1012 Ω input resistance to point C. The output of the amplifier is connected to point E. The model cell emulates the passive conductance and capacitance of the isolated fiber containing a single node after mounted on the recording chamber (Figure S7). The command voltage was generated using the pClamp software through the Digidata 1440 digitizer (Molecular Devices). An offset was added to the command signal in order to allow for adjustment of the holding potential. The command is then scaled down ~19.3 fold and buffered with an operational amplifier capable of handling over 40 mA of current and connected to point A. The electrical potential of point E was buffered, summed with an offset voltage to ensure utilization of the full dynamic range of the Digidata 1440 digitizer and recorded using pClamp software on a computer disk. In the current clamp configuration, connections to points A and E were swapped. |
|
|
Figure 5âfigure supplement 3. Rabbit polyclonal antibody 2134 cross-reacts with rat TRAAK.(A) Fluorescence micrograph of HEK293T cells transfected with a rat TRAAK â GFP fusion protein. (B) Immunofluorescence of the rat TRAAK â GFP fusion protein using the Rabbit-anti TRAAK poly-clonal antibody 2134. (C) Overlay of (A) and (B). |
|
|
Figure 6. RU2 blocked current in the nodes of Ranvier in rat sciatic nerve.Recordings were performed at 32â37°C. (A) Currents recorded during voltage steps applied to a rat nodal membrane in the absence of RU2 (left), in the presence of 20 µM RU2 (middle) and after RU2 wash out (right). (B) Same experiments as in panel A but performed in the presence of the Na+ channel blocker TTX. (C) Quantification of the total and RU2-sensitive nodal current at 50 mV from 18 nodes recorded at 32â37°C (green: no TTX, black: with TTX). 2 out of the 18 nodes did not have RU2-sensitive current (red) and were not included in the statistics. The total outward current was 8 ± 1 nA, the RU2 sensitive current was 1.5 ± 0.3 nA and the fraction of RU2 sensitive current in the total current was 0.19 ± 0.01 (mean ± S.E.M.). (D) RU2 blocked current calculated from subtracting voltage steps in the presence of RU2 (panel B middle) from that in the absence of RU2 (panel B left). (E) I-V curve of the RU2 blocked current. Data points are represented as filled circles and connected with straight line segments.Figure 6âfigure supplement 1. RU2 blocked current in CHO cells heterologously expressing rat TRAAK.Experiments were performed in the whole-cell configuration at room temperature. Rat axoplasmic solution and rat Ringerâs solution (see Materials and methods) were used as internal (pipette) and external (bath) solutions, respectively. Voltage steps were recorded in the absence of RU2 (A), in the presence of 20 µM RU2 (B) and after RU2 wash out (C). (D) RU2-blocked current calculated from subtracting (B) from (A). (E) I-V curve of the RU2-blocked current. Data points are represented as filled circles and connected with straight line segments. |
|
|
Figure 7. TRAAK stabilizes the resting potential of the rat node of Ranvier.(A) Representative action potential recorded from a rat node of Ranvier before drug application (left), during application of 10 uM RU2 (red, center), and after drug wash out (right). Application of RU2 depolarized the resting potential by 4 mV and reduced the action potential amplitude. These effects could be washed out. Averaged results: control action potential amplitude = 112.1 ± 5.2 mV (n = 7); with RU2 depolarization of resting potential = 3.8 ± 0.2 mV, action potential amplitude = 98.3 ± 6.7 mV (n = 7); wash-out: repolarization of resting potential = 5.3 ± 1.0 mV, action potential amplitude = 118.3 ± 3.7 mV (n = 3). (B) Action potential recorded from a rat node of Ranvier with the resting potential hyperpolarized by 4 mV (left), at the resting potential (center) and depolarized by 4 mV (right). Hyperpolarization increased and depolarization reduced the action potential amplitude. (C) Membrane currents used to measure steady-state NaV inactivation. A 60 mV test pulse elicited a transient inward Na current (inset: pulse protocol). 50 ms depolarizing prepulses of increasing amplitude decreased the peak Na current amplitudes, hyperpolarizing prepulses of increasing amplitudes increased the Na current amplitude until a steady amplitude was obtained. (D) Normalized peak Na current amplitudes of the experiment shown in (C) plotted versus prepulse potential. (E) Repetitive stimulation (100 Hz for 1 s, 0.2 ms just suprathreshold current stimuli) of rat node of Ranvier in Ringer´s solution (control), in the presence of RU2 and after wash-out of RU2. |
|
|
Figure 1—figure supplement 1. Anti-TRAAK antibodies form biochemically stable channel complexes without impacting channel function.(A) Current-voltage relationship from mouse TRAAK reconstituted into planar lipid bilayers before (black) and after (red) the addition of 1 uM purified 1B10 antibody (to both cis and trans sides) and after the addition of 15 mM BaCl2. Current was recorded during voltage steps from −100 to 100 mV from a holding potential of −50 mV with internal 150 mM K+, 0 mM Na+ and external 15 mM K+, 135 mM Na+. Data are shown in physiological convention. Antibody 1B10 has no functional effect on mouse TRAAK currents. (B) Coomassie-stained SDS-PAGE gel of purified 1B10 antibody. (C) Elution profile of TRAAK-EGFP alone (black) and after incubation with anti-TRAAK antibody (red) from a Superose six size exclusion column monitored by EGFP fluorescence. Antibody-TRAAK complex formation generates and earlier-eluting peak than TRAAK alone. |
|
|
Figure 2—figure supplement 1. TRAAK is not found in sensory endings, synapses, astrocytes or microglia.(A) TRAAK, Krt8 and Nefh staining of Merkel cells from a touch dome in hind paw glabrous skin from TRAAK+/+ (upper row) and TRAAK-/- (lower row) mice. TRAAK is not co-localized with Krt8-labeled Merkel cells or nearby regions of Nefh-labeled sensory neurons. (B) TRAAK, S100 and Nefh staining of lanceolate endings in back hairy skin from TRAAK+/+ and TRAAK-/- mice. TRAAK is not co-localized with Nefh-labeled sensory neurons in the region surrounding hair follicles or S100-labeled terminal Schwann cells. (C) TRAAK and PSD95 staining in hippocampus. TRAAK is not co-localized with PSD95-labeled synapses. (D) TRAAK and GFAP staining in hippocampus. TRAAK is not co-localized with GFAP-labeled astrocytes. (E) TRAAK and Iba1 staining in hippocampus. TRAAK is not co-localized with Iba1-labeled microglia. Scale bars = 10 μm except in magnified rightmost image in (D–E) where scale bars = 1 μm. |
|
|
Figure 3—figure supplement 1. Quantification of TRAAK nodal localization.(A,B) Immunostaining of TRAAK (red) and Caspr1 (white) in brain sections from (A) a hippocampal-proximal fiber tract in the fornix with a high percentage of TRAAK-positive nodes and (B) a fiber tract from the ventral striatum with few TRAAK-positive nodes (arrow in (B) points to a TRAAK-positive node magnified in the inset). (C) Is a magnified view of a portion of the fiber tract in B showing absence of TRAAK-immunostaining. (D–G) Immunostaining of TRAAK (red) and Caspr1 (cyan) in (D) a nerve projected from a dorsal root ganglion containing a mixed population of motor and sensory neurons, (E) a dorsal root enriched for sensory neurons and (F,G) a ventral root enriched for motor neurons from a (D–F) TRAAK+/+ and (G) a TRAAK-/- animal. Motor and sensory neurons have a similarly high percentage of TRAAK-positive nodes. Scale bars in (A,B,D–G)=10 μm. Insets show a magnified view of a single node. Scale bars in insets and (C) = 1 μm. (G) Percentage of TRAAK-positive nodes in different regions of the nervous system: nerve from DRG 82 ± 4%, dorsal root 86 ± 0.5%, ventral root 82 ± 0.2%, sciatic nerve 82 ± 7%, optic nerve 79 ± 4%, spinal cord 81 ± 2%, fornix 73 ± 5% and internal capsule/striatum 16 ± 8%. Number of nodes counted in each region is indicated above each bar. Data are mean ± standard deviation from n ≥ 3 separate images. ***p<0.0001, one-way ANOVA. |
|
|
Figure 5—figure supplement 1. Nerve chamber and schematic of voltage clamping the node of Ranvier.(A) Nerve chamber for recording of action potentials and membrane currents of an isolated node of Ranvier. The nerve chamber is made of transparent plastic and consists of four compartments separated by thin walls. (B) Higher magnification of the central part of the nerve chamber. A single nerve fiber is drawn as a line with the node of Ranvier indicated by a gap located in the middle of compartment A. (C) Single nerve fiber placed on top of the compartment ridges with cut internodes. The diagram demonstrates the principle of voltage clamping the node of Ranvier (Nonner, 1969). Points E, A, B and C denote electrodes dipping into the fluid of the compartments. Point D represents the axoplasm at the node. Vaseline seals (v) are placed on top of the ridges to increase the electrical resistance between the chamber compartments and to stabilize the fiber. Chamber F (shown in (B)) denotes an air gap to further increase the external resistance of the nerve fiber. PG, pulse generator. Input of the feedback amplifier is connected to electrode C and its output is connected to electrode E. For recording action potentials (current-clamp mode), the output of the amplifier was connected with electrode A and the pulse generator with electrode E. |
|
|
Figure 6—figure supplement 1. RU2 blocked current in CHO cells heterologously expressing rat TRAAK.Experiments were performed in the whole-cell configuration at room temperature. Rat axoplasmic solution and rat Ringer’s solution (see Materials and methods) were used as internal (pipette) and external (bath) solutions, respectively. Voltage steps were recorded in the absence of RU2 (A), in the presence of 20 µM RU2 (B) and after RU2 wash out (C). (D) RU2-blocked current calculated from subtracting (B) from (A). (E) I-V curve of the RU2-blocked current. Data points are represented as filled circles and connected with straight line segments. |
References [+] :
Anishkin,
Feeling the hidden mechanical forces in lipid bilayer is an original sense.
2014, Pubmed
Anishkin, Feeling the hidden mechanical forces in lipid bilayer is an original sense. 2014, Pubmed
Arancibia-Carcamo, The node of Ranvier in CNS pathology. 2014, Pubmed
Battefeld, Heteromeric Kv7.2/7.3 channels differentially regulate action potential initiation and conduction in neocortical myelinated axons. 2014, Pubmed
Bauer, Mutations in KCNK4 that Affect Gating Cause a Recognizable Neurodevelopmental Syndrome. 2018, Pubmed
Blin, Mixing and matching TREK/TRAAK subunits generate heterodimeric K2P channels with unique properties. 2016, Pubmed
Brismar, Potential clamp analysis of membrane currents in rat myelinated nerve fibres. 1980, Pubmed
Brismar, Potassium permeability in rat myelinated nerve fibres. 1985, Pubmed
Brohawn, How ion channels sense mechanical force: insights from mechanosensitive K2P channels TRAAK, TREK1, and TREK2. 2015, Pubmed
Brohawn, Mechanosensitivity is mediated directly by the lipid membrane in TRAAK and TREK1 K+ channels. 2014, Pubmed
Brohawn, Crystal structure of the human K2P TRAAK, a lipid- and mechano-sensitive K+ ion channel. 2012, Pubmed
Brohawn, Physical mechanism for gating and mechanosensitivity of the human TRAAK K+ channel. 2014, Pubmed
Brohawn, Domain-swapped chain connectivity and gated membrane access in a Fab-mediated crystal of the human TRAAK K+ channel. 2013, Pubmed
Chang, Flat mount imaging of mouse skin and its application to the analysis of hair follicle patterning and sensory axon morphology. 2014, Pubmed
Chen, MolProbity: all-atom structure validation for macromolecular crystallography. 2010, Pubmed
Chiu, A quantitative description of membrane currents in rabbit myelinated nerve. 1979, Pubmed
Chiu, Evidence for the presence of potassium channels in the paranodal region of acutely demyelinated mammalian single nerve fibres. 1981, Pubmed
Clarke, Mechanically evoked sensory and motor responses to dynamic compression of the ulnar nerve. 2007, Pubmed
Corey, Response latency of vertebrate hair cells. 1979, Pubmed
Devaux, Kv3.1b is a novel component of CNS nodes. 2003, Pubmed
Devaux, KCNQ2 is a nodal K+ channel. 2004, Pubmed
El Hady, Mechanical surface waves accompany action potential propagation. 2015, Pubmed
Emsley, Features and development of Coot. 2010, Pubmed
Enyedi, Molecular background of leak K+ currents: two-pore domain potassium channels. 2010, Pubmed
Fink, A neuronal two P domain K+ channel stimulated by arachidonic acid and polyunsaturated fatty acids. 1998, Pubmed , Xenbase
FRANKENHAEUSER, THE ACTION POTENTIAL IN THE MYELINATED NERVE FIBER OF XENOPUS LAEVIS AS COMPUTED ON THE BASIS OF VOLTAGE CLAMP DATA. 1964, Pubmed , Xenbase
Grüsser, On the history of deformation phosphenes and the idea of internal light generated in the eye for the purpose of vision. 1990, Pubmed
Hille, The selective inhibition of delayed potassium currents in nerve by tetraethylammonium ion. 1967, Pubmed
HODGKIN, A quantitative description of membrane current and its application to conduction and excitation in nerve. 1952, Pubmed
Iwasa, Swelling of nerve fibers associated with action potentials. 1980, Pubmed
Kabsch, XDS. 2010, Pubmed
Kang, Thermosensitivity of the two-pore domain K+ channels TREK-2 and TRAAK. 2005, Pubmed
Kawate, Fluorescence-detection size-exclusion chromatography for precrystallization screening of integral membrane proteins. 2006, Pubmed
Kennedy, Comparison of standard laminectomy with an optimized ejection method for the removal of spinal cords from rats and mice. 2013, Pubmed
Kim, A mechanical spike accompanies the action potential in Mammalian nerve terminals. 2007, Pubmed
Krissinel, Inference of macromolecular assemblies from crystalline state. 2007, Pubmed
Lein, Genome-wide atlas of gene expression in the adult mouse brain. 2007, Pubmed
Lengyel, Formation of Functional Heterodimers by TREK-1 and TREK-2 Two-pore Domain Potassium Channel Subunits. 2016, Pubmed , Xenbase
Levitz, Heterodimerization within the TREK channel subfamily produces a diverse family of highly regulated potassium channels. 2016, Pubmed
MacKenzie, Two-pore domain potassium channels enable action potential generation in the absence of voltage-gated potassium channels. 2015, Pubmed
Maingret, TRAAK is a mammalian neuronal mechano-gated K+ channel. 1999, Pubmed
McCoy, Phaser crystallographic software. 2007, Pubmed
Mosgaard, Mechano-capacitive properties of polarized membranes. 2015, Pubmed
Murshudov, REFMAC5 for the refinement of macromolecular crystal structures. 2011, Pubmed
Nave, Myelination of the nervous system: mechanisms and functions. 2014, Pubmed
Nawaz, Molecular evolution of myelin basic protein, an abundant structural myelin component. 2013, Pubmed
Neumcke, Sodium currents and sodium-current fluctuations in rat myelinated nerve fibres. 1982, Pubmed
Neumcke, A comparison of sodium currents in rat and frog myelinated nerve: normal and modified sodium inactivation. 1987, Pubmed
Noël, The mechano-activated K+ channels TRAAK and TREK-1 control both warm and cold perception. 2009, Pubmed
Nonner, A new voltage clamp method for Ranvier nodes. 1969, Pubmed
Normand, Subcellular patterning: axonal domains with specialized structure and function. 2015, Pubmed
Ranade, Mechanically Activated Ion Channels. 2015, Pubmed
Rasband, Ion channel sequestration in central nervous system axons. 2000, Pubmed
Rasband, The Nodes of Ranvier: Molecular Assembly and Maintenance. 2015, Pubmed
Renier, Mapping of Brain Activity by Automated Volume Analysis of Immediate Early Genes. 2016, Pubmed
Renigunta, Much more than a leak: structure and function of K₂p-channels. 2015, Pubmed
Röper, Heterogeneous distribution of fast and slow potassium channels in myelinated rat nerve fibres. 1989, Pubmed
Schewe, A Non-canonical Voltage-Sensing Mechanism Controls Gating in K2P K(+) Channels. 2016, Pubmed
Schindelin, Fiji: an open-source platform for biological-image analysis. 2012, Pubmed
Schwarz, Action potentials and membrane currents in the human node of Ranvier. 1995, Pubmed
Schwarz, KCNQ channels mediate IKs, a slow K+ current regulating excitability in the rat node of Ranvier. 2006, Pubmed
Schwarz, Na currents and action potentials in rat myelinated nerve fibres at 20 and 37 degrees C. 1987, Pubmed
Su, Novel cell-free high-throughput screening method for pharmacological tools targeting K+ channels. 2016, Pubmed
Tabarean, Membrane stretch affects gating modes of a skeletal muscle sodium channel. 1999, Pubmed , Xenbase
Talley, Cns distribution of members of the two-pore-domain (KCNK) potassium channel family. 2001, Pubmed
Teng, The force-from-lipid (FFL) principle of mechanosensitivity, at large and in elements. 2015, Pubmed
Topp, Structure and biomechanics of peripheral nerves: nerve responses to physical stresses and implications for physical therapist practice. 2006, Pubmed
Vogl, Stretchy nerves are an essential component of the extreme feeding mechanism of rorqual whales. 2015, Pubmed
