XB-ART-42932
Front Neuroanat
2011 Mar 02;5:11. doi: 10.3389/fnana.2011.00011.
Show Gene links
Show Anatomy links
Ontogenetic distribution of the transcription factor nkx2.2 in the developing forebrain of Xenopus laevis.
???displayArticle.abstract???
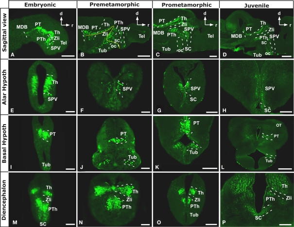
The expression of the Nkx2.2 gene is involved in the organization of the alar-basal boundary in the forebrain of vertebrates. Its expression in different diencephalic and telencephalic regions, helped to define distinct progenitor domains in mouse and chick. Here we investigated the pattern of Nkx2.2 protein distribution throughout the development of the forebrain of the anuran amphibian, Xenopus laevis. We used immunohistochemical and in situ hybridization techniques for its detection in combination with other essential territorial markers in the forebrain. No expression was observed in the telencephalon. In the alar hypothalamus, Nkx2.2 positive cells were scattered in the suprachiasmatic territory, but also in the supraopto-paraventricular area, as defined by the expression of the transcription factor Orthopedia (Otp) and the lack of xDll4. In the basal hypothalamus Nkx2.2 expressing cells were localized in the tuberal region, with the exception of the arcuate nucleus, rich in Otp expressing cells. In the diencephalon it was expressed in all three prosomeres (P1-P3) and not in the zona limitans intrathalamica. The presence of Nkx2.2 expressing cells in P3 was restricted to the alar portion, as well as in prosomere P2, whereas in P1 the Nkx2.2 expressing cells were located in the basal plate and identified the alar/basal boundary. These results showed that Nkx2.2 and Sonic hedgehog are expressed in parallel adjacent stripes along the anterior-posterior axis. The results of this study showed a conserved distribution pattern of Nkx2.2 among vertebrates, crucial to recognize subdivisions that are otherwise indistinct, and supported the relevance of this transcription factor in the organization of the forebrain, particularly in the delineation of the alar/basal boundary of the forebrain.
???displayArticle.pubmedLink??? 21415915
???displayArticle.pmcLink??? PMC3049246
???displayArticle.link??? Front Neuroanat
Species referenced: Xenopus laevis
Genes referenced: dll4 dlx2 nkx2-1 nkx2-2 otp pax6 shh sst tbr1 tff3.7 trhd tub
???attribute.lit??? ???displayArticles.show???
References [+] :
Abellán,
Subdivisions and derivatives of the chicken subpallium based on expression of LIM and other regulatory genes and markers of neuron subpopulations during development.
2009, Pubmed
