Click here to close
Hello! We notice that you are using Internet Explorer, which is not supported by Xenbase and may cause the site to display incorrectly.
We suggest using a current version of Chrome,
FireFox, or Safari.
Functional and morphological correlates of connexin50 expressed in Xenopus laevis oocytes.
Zampighi GA
,
Loo DD
,
Kreman M
,
Eskandari S
,
Wright EM
.
???displayArticle.abstract???
Electrophysiological and morphological methods were used to study connexin50 (Cx50) expressed in Xenopus laevis oocytes. Oocytes expressing Cx50 exhibited a new population of intramembrane particles (9.0 nm in diameter) in the plasma membrane. The particles represented hemichannels (connexin hexamers) because (a) their cross-sectional area could accommodate 24 +/- 3 helices, (b) when their density reached 300-400/microm2, they formed complete channels (dodecamers) in single oocytes, and assembled into plaques, and (c) their appearance in the plasma membrane was associated with a whole-cell current, which was activated at low external Ca2+ concentration ([Ca2+]o), and was blocked by octanol and by intracellular acidification. The Cx50 hemichannel density was directly proportional to the magnitude of the Cx50 Ca2+-sensitive current. Measurements of hemichannel density and the Ca2+-sensitive current in the same oocytes suggested that at physiological [Ca2+]o (1-2 mM), hemichannels rarely open. In the cytoplasm, hemichannels were present in approximately 0.1-microm diameter "coated" and in larger 0.2-0.5-microm diameter vesicles. The smaller coated vesicles contained endogenous plasma membrane proteins of the oocyte intermingled with 5-40 Cx50 hemichannels, and were observed to fuse with the plasma membrane. The larger vesicles, which contained Cx50 hemichannels, gap junction channels, and endogenous membrane proteins, originated from invaginations of the plasma membrane, as their lumen was labeled with the extracellular marker peroxidase. The insertion rate of hemichannels into the plasma membrane (80, 000/s), suggested that an average of 4,000 small coated vesicles were inserted every second. However, insertion of hemichannels occurred at a constant plasma membrane area, indicating that insertion by vesicle exocytosis (60-500 microm2 membranes/s) was balanced by plasma membrane endocytosis. These exocytotic and endocytotic rates suggest that the entire plasma membrane of the oocyte is replaced in approximately 24 h.
Figure 1. Cx50 hemichannels are sensitive to [Ca2+]o, intracellular pH, and octanol. (A) In a Cx50-expressing oocyte voltage-clamped at −50 mV (top), reduction of [Ca2+]o from 1 mM to 10 μM induced a large inward current (ICx50). Intracellular acidification by the addition of 50 mM Na-acetate to the bathing medium resulted in an ∼65% reversible inhibition of ICx50. In control oocytes (bottom), reduction of [Ca2+]o or intracellular acidification had no appreciable effect on the current. (B) ICx50 was inhibited by addition of 1 mM 1-octanol to the bathing medium. (C) The magnitude of ICx50 depended on [Ca2+]o. Measurements were made 48 h after cRNA injection.
Figure 2. Voltage dependence of Cx50 Ca2+-sensitive currents. (A) In control oocytes, no Ca2+-sensitive currents were observed when [Ca2+]o was lowered (see also Fig. 1 A). The capacitive transient had a single time constant of ∼1 ms. (B) Oocytes expressing Cx50 exhibited large Ca2+-sensitive currents (ICx50) at 10 μM [Ca2+]o. (C) ICx50 at 10 ms (Iinitial) (○) and 980 ms (Isteady-state) (•) after the onset of the voltage pulse. Vrev was the same for both currents (−25 mV). (D) Isteady-state–V at various [Ca2+]o. The data in B–D were obtained from the same oocyte, and those in A and B were obtained from an oocyte from the same batch. Data obtained from over several hundred control and Cx50- expressing oocytes were similar to those reported here.
Figure 3. Time course of ICx50 and membrane capacitance (Cm) as a function of Cx50 expression. (A) The magnitude of Ca2+-sensitive currents of control oocytes (○) and ICx50 in oocytes expressing Cx50 (•) 6 h to 5 d after cRNA injection. Vh was −50 mV and the Ca2+-sensitive current was assessed as the difference in the holding current when the [Ca2+]o was changed from 5 mM to 10 μM. (B) Cm of control oocytes (○, dotted line) and oocytes expressing Cx50 (•, solid line) is shown as a function of the time after water or cRNA injection. In both A and B, each data point represents the mean of measurements obtained from three to five different oocytes from the same batch, and the entire protocol was repeated with three different batches of oocytes.
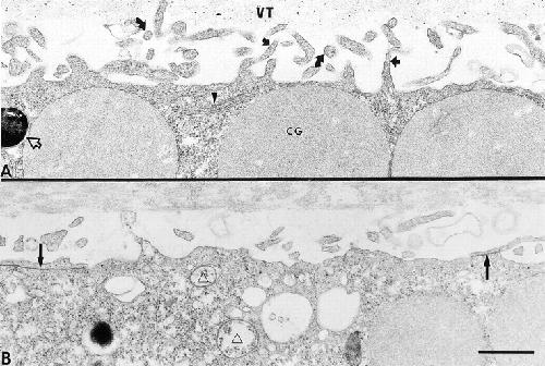
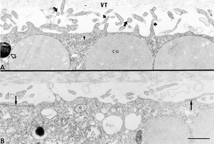
Figure 4. Thin section electron microscopy of cortical regions of a control oocyte and an oocyte expressing Cx50. (A) The vitelline membrane is represented by the gray region on top (VT). The plasma membrane contains folds and microvilli that are sectioned longitudinally (dark arrows) and transversely (curved arrows). The cytoplasm contains endoplasmic reticulum (arrowhead) and large cortical granules (CG). The open arrow points to a pigment granule present in the animal pole of Xenopus laevis oocytes. (B) Shown is the cortical region of an oocyte incubated for 3 d after Cx50 cRNA injection. Expression of Cx50 induced the formation gap junctions, which at this magnification appeared as dark lines (dark arrows and ▵). Gap junctions that were either continuous with the plasma membrane (reflective junctions; dark arrows) or were discontinuous with the plasma membrane (annular junctions) appeared as vesicles in the cytoplasm (▵). Scale bar, 0.67 μm.
Figure 5. Thin section and freeze-fracture views of reflective and annular gap junctions formed in single oocytes expressing Cx50. (A) The reflective gap junction is formed in an invagination of the plasma membrane. This type of junction often terminates in a small clear vesicle (dark arrow). The annular gap junctions appear as vesicles formed by two closely apposed membranes enclosing a clear lumen. Chevron arrows point to the corresponding freeze-fracture views (in B and C) of the reflective and annular gap junctions. (B) In freeze fracture, the reflective gap junctions appear as plaques of particles (P) and complementary pits (E). The particles and pits forming the plaques are continuous with the fracture face of the nonjunctional plasma membrane, indicating that these arrays are part of the plasma membrane. The top shows a region containing the large (∼13 nm diameter) endogenous particles characteristic of the E face of the plasma membrane of control oocytes. The furrow separating the junctional from the nonjunctional E faces (small dark arrows) is from an endogenous tight junction strand that is occasionally associated with the plasma membrane. Open arrows point to the step separating the E from the P face of the gap junctional plaque. The small height of the step (∼6 nm) strongly indicates that the plaques of particles and pits represent gap junctions and not an arrangement of single hemichannels. (C) Shown are the fracture faces of an annular gap junction. The open arrow points to the fracture step separating the two faces. The dark arrow points to a small diameter vesicle containing hemichannels often found in the cytoplasm of oocytes expressing Cx50. Scale bar, 0.2 μm.
Figure 6. Comparison of the endogenous membrane proteins of the oocyte and the Cx50 hemichannels induced after cRNA injection. (A) A low magnification view of the plasma membrane of an oocyte expressing Cx50 is shown. This region of the plasma membrane was shadowed at a high angle to allow for the analysis of protein size and shape (see Fig. 7). The area enclosed by the large circle is shown in B and the particle in the small circle is shown in D. (B and C) Higher magnification views to show the difference between the smaller endogenous particles (arrows) and the larger Cx50 hemichannels. (D–G) Individual hemichannels were selected from the field in A and shown at high magnification to illustrate their rounded and polygonal overall shape. Scale bars: A, 0.16 μm; B–G, 16.6 nm.
Figure 8. Comparison of the plasma membrane (P face) of a control oocyte with those of oocytes exhibiting different levels of Cx50 expression. (A) The P face (P) of control oocytes contains ∼7-nm diameter particles (small arrows), and the E face (E) is characterized by the presence of 13-nm diameter particles (large arrows). The arrowheads point to the neck connecting a microvillus to the plasma membrane. (B–E) Both ICx50 and the density of hemichannels were measured at various times after the injection of Cx50 cRNA; 6 h (B), 24 h (C), 48 h (D), and 72 h (E) (see also Table II). Expression of Cx50 increases the density of hemichannels only in the P face of the plasma membrane. The density of hemichannels is correlated with the magnitude of ICx50. The first indication of reflective gap junctions (GJ) was found 48 h after cRNA injection (D). Peak values for both ICx50 and the particle density were seen at 72 h (E). In E, the upper left corner shows the convex surface (E) of an annular gap junction and the concave surface of the small vesicles (arrows) containing the characteristic Cx50 hemichannels. Scale bar, 0.2 μm.
Figure 7. Size (diameter) frequency histograms of single intramembrane particles and those forming the gap junction plaques present in the P fracture face of oocytes expressing Cx50. (A) The histogram was constructed from 554 particle diameter measurements and included both the endogenous particles and the newly inserted hemichannels. The bin size was chosen to be 0.5 nm in size and the data in each bin are plotted at the center of the bin. The data were fitted with a multiple Gaussian function (smooth lines). The hatched region (particle size ∼7 nm) and the larger particles (∼11 nm) represent the endogenous oocyte P face particles (Eskandari et al., 1998). The prominent peak at 9.0 nm corresponds to Cx50 hemichannels. (B) A size frequency histogram constructed from 100 measurements of particles arranged in a gap junction plaque. The size of the particle is 9.0 nm, suggesting that this particle population is identical to the 9.0-nm particle identified in the analysis of single particles from nonplaque regions of the plasma membrane (A).
Figure 10. Thin section and freeze-fracture electron microscopy of small vesicles containing Cx50 hemichannels. (A) A small vesicle (∼90 nm in diameter) is shown in the cytoplasm just underneath the plasma membrane. The vesicle is composed of a lipid bilayer from which slender projections (∼15 nm in length) extend into the cytoplasm (small arrows). Similar vesicles were also present in control oocytes but lacked hemichannels. B–D show various stages of the fusion of the small vesicles with the cytoplasm. The vesicles were connected to the plasma membrane through stalks 22–30 nm in length and of variable diameter (B and C, arrows). (D) After fusion, the vesicle remained as a depression in the plasma membrane. (E–I) In freeze fracture, the vesicles contained the characteristic hemichannels (concave face). The vesicles were present in the cytoplasm (E, dark arrow) and fused with the plasma membrane through a stalk 20–25 nm in length (F and H, arrows). Views from the plane of the plasma membrane (G and I) show the complex formed by the fused vesicle (containing the Cx50 hemichannels) and the plasma membrane. Scale bar, 0.1 μm.
Figure 11. Thin section and freeze-fracture electron microscopy of invaginations of the plasma membrane containing Cx50 hemichannels. (A) Thin section of an infolding (∼0.3 μm in length) of the plasma membrane that ended in a small rounded vesicle. Regions of close membrane apposition often occurred near the plasma membrane (arrows). Similar structures were also observed in control oocytes. (B) Freeze-fracture view of an invagination of the plasma membrane that also ended in a round vesicle of ∼100 nm in diameter. The convex E face (E) of the vesicle exhibited pits complementary to the Cx50 hemichannels, and also contained the endogenous 13-nm diameter particles (small dark arrows). (C) Freeze-fracture view of a long tubular invagination continuous with the plasma membrane. The plasma membrane P face (P) contained single as well as plaques of Cx50 hemichannels (open arrow). Similarly, the invagination contained both single hemichannels and hemichannels in plaques (dark arrows). CYT, cytoplasm. Scale bar, 0.1 μm.
Figure 12. Freeze-fracture electron microscopy of vesicles containing hemichannels located deep in the cytoplasm of an oocyte expressing Cx50. (A) Several large vesicles are shown with the characteristic hemichannels in the P face (P and GJ), and the complementary pits in the E face (E). Some vesicles contain hemichannels at high or low densities and often both types of arrangements are observed in the same vesicle. Vesicles with a high density of particles formed plaques similar to those formed by reflective gap junctions in the plasma membrane (GJ). Vesicles containing low densities of hemichannels exhibited small round plaques (dark arrows), which were often located in a highly curved region of the membrane. The E faces (E) contained the endogenous 13-nm diameter particles intermingled with the complementary pits of hemichannels. G refers to the Golgi stacks. (B) A higher magnification view of a vesicle exhibiting single hemichannels, and hemichannels arranged in rosettes (□) and plaques. C and D show higher magnification views of the small plaques seen in large vesicles with a lower density of Cx50 hemichannels. (E) A higher magnification view of the E face of the vesicle at the bottom of A. The small arrows point to the 13-nm diameter endogenous E face particles and □ encloses a rosette of pits complementary to the small plaques of hemichannels seen in vesicles with a lower density of hemichannels (as in C and D). Scale bars: A, 0.26 μm; B–E, 66 nm.
Figure 13. Thin sections of the cortical regions of oocytes incubated in the presence of the enzyme peroxidase. (A) The peroxidase enzymatic products are shown in the lumen (dark arrows) of three vesicles. The open arrow points to a smaller coated vesicle without the marker. B shows several irregularly shaped vesicles (arrows) containing peroxidase reaction products in their lumens. The intraluminal localization of the extracellular marker suggests that these vesicles are derived from the plasma membrane of the oocyte by endocytosis. Scale bar, 0.1 μm.
Figure 14. A model proposing that the trafficking of Cx50 hemichannels to and from the plasma membrane of oocytes occurs along the constitutive (default) pathway. We propose that Cx50 is inserted into the plasma membrane as a hemichannel (connexin hexamer). Insertion into the plasma membrane occurs at an initial rate of 80,000 hemichannels/s. Hemichannel insertion is via exocytosis of small coated vesicles at a rate of 2,000–16,000 vesicles/s, corresponding to the addition of 63–503 μm2/s of membrane to the plasma membrane. Retrieval occurs through the formation of membrane invaginations that eventually pinch off and form large vesicles in the cytoplasm. At a hemichannel density <300/μm2, the Cx50 hemichannels are retrieved, intermingled with some endogenous plasma membrane proteins, in the same large vesicles. At a density >300 hemichannels/μm2, the large vesicles form reflective gap junctions that pinch off and appear as annular gap junctions in the cytoplasm. The principal characteristic of this pathway is that the area of the plasma membrane does not change during hemichannel insertion, indicating that plasma membrane endocytosis balances the rate of vesicle insertion.
Beardslee,
Rapid turnover of connexin43 in the adult rat heart.
1998, Pubmed
Beardslee,
Rapid turnover of connexin43 in the adult rat heart.
1998,
Pubmed
Chandy,
Comparison of the water transporting properties of MIP and AQP1.
1997,
Pubmed
,
Xenbase
Dahl,
Expression of functional cell-cell channels from cloned rat liver gap junction complementary DNA.
1987,
Pubmed
,
Xenbase
DeVries,
Hemi-gap-junction channels in solitary horizontal cells of the catfish retina.
1992,
Pubmed
Ebihara,
Xenopus connexin38 forms hemi-gap-junctional channels in the nonjunctional plasma membrane of Xenopus oocytes.
1996,
Pubmed
,
Xenbase
Ebihara,
Co-expression of lens fiber connexins modifies hemi-gap-junctional channel behavior.
1999,
Pubmed
,
Xenbase
Ebihara,
Properties of a nonjunctional current expressed from a rat connexin46 cDNA in Xenopus oocytes.
1993,
Pubmed
,
Xenbase
Ebihara,
Distinct behavior of connexin56 and connexin46 gap junctional channels can be predicted from the behavior of their hemi-gap-junctional channels.
1995,
Pubmed
,
Xenbase
Eskandari,
Structural analysis of cloned plasma membrane proteins by freeze-fracture electron microscopy.
1998,
Pubmed
,
Xenbase
Fallon,
Five-hour half-life of mouse liver gap-junction protein.
1981,
Pubmed
Findlay,
High-conductance K+ channel in pancreatic islet cells can be activated and inactivated by internal calcium.
1985,
Pubmed
Gupta,
Bovine connexin44, a lens gap junction protein: molecular cloning, immunologic characterization, and functional expression.
1994,
Pubmed
,
Xenbase
Hirsch,
Regulation of Na+/glucose cotransporter expression by protein kinases in Xenopus laevis oocytes.
1996,
Pubmed
,
Xenbase
Johnston,
Interaction of anaesthetics with electrical synapses.
1980,
Pubmed
Larsen,
Evidence for the participation of actin microfilaments and bristle coats in the internalization of gap junction membrane.
1979,
Pubmed
Li,
Properties and regulation of gap junctional hemichannels in the plasma membranes of cultured cells.
1996,
Pubmed
Loo,
Relaxation kinetics of the Na+/glucose cotransporter.
1993,
Pubmed
,
Xenbase
Parent,
Electrogenic properties of the cloned Na+/glucose cotransporter: I. Voltage-clamp studies.
1992,
Pubmed
,
Xenbase
Paul,
Connexin46, a novel lens gap junction protein, induces voltage-gated currents in nonjunctional plasma membrane of Xenopus oocytes.
1991,
Pubmed
,
Xenbase
Perkins,
Three-dimensional structure of the gap junction connexon.
1997,
Pubmed
Reifarth,
The Ca2+-inactivated Cl- channel at work: selectivity, blocker kinetics and transport visualization.
1997,
Pubmed
,
Xenbase
Spray,
Structure-activity relations of the cardiac gap junction channel.
1990,
Pubmed
Steiner,
Functional characterization of canine connexin45.
1996,
Pubmed
,
Xenbase
Trexler,
Voltage gating and permeation in a gap junction hemichannel.
1996,
Pubmed
,
Xenbase
Unger,
Projection structure of a gap junction membrane channel at 7 A resolution.
1997,
Pubmed
Wang,
Chemical gating of heteromeric and heterotypic gap junction channels.
1998,
Pubmed
,
Xenbase
Weber,
The Ca(2+)-induced leak current in Xenopus oocytes is indeed mediated through a Cl- channel.
1995,
Pubmed
,
Xenbase
Werner,
Translation and functional expression of cell-cell channel mRNA in Xenopus oocytes.
1985,
Pubmed
,
Xenbase
White,
Mouse Cx50, a functional member of the connexin family of gap junction proteins, is the lens fiber protein MP70.
1992,
Pubmed
,
Xenbase
Wright,
Regulation of Na+/glucose cotransporters.
1997,
Pubmed
,
Xenbase
Zampighi,
Structural characteristics of gap junctions. I. Channel number in coupled and uncoupled conditions.
1988,
Pubmed
Zampighi,
A method for determining the unitary functional capacity of cloned channels and transporters expressed in Xenopus laevis oocytes.
1995,
Pubmed
,
Xenbase
Zhang,
The ion selectivity of a membrane conductance inactivated by extracellular calcium in Xenopus oocytes.
1998,
Pubmed
,
Xenbase